Jornalismo deve cobrar prevenção antes que aconteça novamente


Sérgio Pereira*


Área central de Porto Alegre inundada em 2024
Foto: Fotos Públicas/Gustavo Mansur/Palácio Piratini

O Rio Grande do Sul está perto de completar dois anos de sua maior tragédia climática e as consequências das cheias de abril/maio de 2024 ainda reverberam. Pelo menos 23 pessoas continuam desaparecidas (conforme o último levantamento, de agosto do ano passado), milhares de famílias seguem aguardando moradia e municípios permanecem na dependência de obras de recuperação e prevenção.

Para não permitir que o tempo feche cortinas na memória coletiva, GZH lançou em junho daquele mesmo ano o “Painel da Reconstrução”, um hotsite que “monitora as medidas de apoio financeiro provenientes dos governos federal e estadual para a recuperação do Estado”. A iniciativa merece reconhecimento pois se propõe a oferecer uma radiografia sobre os principais investimentos e compromissos pós-enchente. Torna-se, assim, um instrumento útil para controle social e cobrança de recursos públicos destinados ao restabelecimento do RS.

O painel está focado em três áreas prioritárias: infraestrutura, habitação e prevenção a novos eventos climáticos extremos. Há informações valiosas na ferramenta, que em 24 de março deste ano, data dessa consulta, havia sido atualizada 13 dias antes. A começar pelos repasses financeiros. Graças à plataforma, pode-se conferir que o Governo Federal pagou 63,8% (R$ 75,2 bilhões) dos R$ 118 bilhões prometidos. O Governo do RS, por sua vez, aplicou apenas 40,9% (R$ 4,6 bilhões) dos R$ 11,3 bilhões previstos.

Outro exemplo da relevância do levantamento diz respeito à circulação: ainda há no Estado pelo menos 15 trechos de rodovias bloqueadas, total ou parcialmente. As obras da ERS-348, entre Agudo e Dona Francisca, para citar um caso, sequer foram iniciadas.

As informações envolvendo moradias, porém, não são atualizadas há pelo menos seis meses. São mais de 25 mil habitações projetadas, conforme GZH. O portal cientifica que, até agora, foram disponibilizadas 520 temporárias pelo Estado e que o Governo Federal já entregou as chaves definitivas para 5.733 famílias pelo programa Compra Assistida.

Os dados sobre “Prevenção”, contudo, são ainda mais preocupantes. Primeiro, porque os números desse item da plataforma não são alterados há mais de oito meses. Também causa apreensão o andamento dos trabalhos das oito obras prioritárias relacionadas, nenhuma concluída. Dessas, a metade não saiu da fase de elaboração de projeto: dique em Eldorado do Sul; arroio Feijó (Porto Alegre e Alvorada); bacia do Rio do Sinos; e bacia do Rio Gravataí.

As outras quatro listadas, todas em Porto Alegre, superaram as etapas de projeto e licitação e estão em andamento: fechamento em concreto das comportas 8, 9, 10 e 13 do sistema de proteção; substituição das comportas 11, 12 e 14; manutenção de 1,4 quilômetro do chamado dique da Fiergs, na zona norte da capital; e manutenção de 3,4 quilômetros do dique do Sarandi. Os prazos previstos para o término de três dessas quatro obras estão expirados, conforme o levantamento revela. E a quarta está programada para ser concluída agora em março de 2026.

É preciso dizer que o painel poderia estar mais atualizado no campo “Prevenção”. Em janeiro deste ano, por exemplo, foi noticiado o fechamento em definitivo das comportas 8, 10, 13 e 14 do sistema de proteção de Porto Alegre, mas na plataforma não consta essa informação. Nem mesmo na relação de matérias mais recentes sobre o tema, com links disponíveis logo abaixo das obras prioritárias. Essa latência acaba por comprometer sua eficiência como mecanismo de transparência e vigilância pública.

Afora a desatualização, outra questão surge: por que o painel não é mais explorado como instrumento de cobrança? Principalmente no que se refere à prevenção. Nos últimos dias, a notícia de formação de novo El Niño no Hemisfério Sul fez ligar o sinal de alerta. Conforme o instituto Climatempo, o “risco de chuva extrema sobre o Sul do Brasil é maior este ano”. O Rio Grande do Sul vai estar melhor preparado para uma nova enchente? O jornalismo pode e deve responder a esse questionamento.

O Princípio da Precaução, incorporado aos pressupostos do Jornalismo Ambiental, ensina que devemos ampliar o tempo de ação do jornalismo, orientando-o para o futuro na tentativa de alertar e evitar consequências negativas (Girardi et al., 2020). Loose e Girardi (2017) acrescentam que a noção de que o jornalista ambiental deve colaborar para o alerta e o enfrentamento dos riscos climáticos está em sintonia com sua responsabilidade de reduzir alarmismo e evitar medidas que desconsiderem as incertezas intrínsecas ao seu fenômeno.

O desastre climático de 2024, que causou a morte de 185 pessoas, deixou traumas profundos no povo gaúcho. Desde então, a cada chuva intensa, o fantasma das cheias faz ressurgir o medo de novas inundações. É missão do jornalismo estar conectado aos interesses e preocupações da sociedade. De que vale então estar de posse de um dispositivo importante e não aproveitar ao máximo o seu potencial? Afinal, ferramenta em uso não acumula poeira. Tanto na carpintaria quanto no jornalismo, esse adágio pode ser de muita utilidade.

Revisão: Ângela Camana, integrante do GPJA

*Sérgio Pereira é jornalista, servidor público, doutorando em Comunicação e Informação pela UFRGS e integrante do Grupo de Pesquisa em Jornalismo Ambiental (CNPq/UFRGS). E-mail: sergiorobpereira@gmail.com

Referências

GIRARDI, Ilza Maria Tourinho; LOOSE, Eloisa Beling; STEIGLEDER, Débora Gallas; BELMONTE, Roberto Villar; MASSIERER, Carine. (2020). A contribuição do princípio da precaução para a epistemologia do Jornalismo Ambiental. RECIIS, 14(2). Disponível em: https://doi.org/10.29397/reciis.v14i2.2053. Acesso em: 23 mar. 2026.

LOOSE, Eloisa Beling; GIRARDI, Ilza Maria Tourinho. O Jornalismo Ambiental sob a ótica dos riscos climáticos. Interin, v. 22, n. 2, Jul/Dez 2017. Disponível em: https://lume.ufrgs.br/bitstream/handle/10183/169150/001048279.pdf?sequence=1&isAllowed=y22(2):154-72. Acesso em: 23 mar. 2026.

Desastres viram notícia. Preveni-los, não.

Foto: RS via Fotos Públicas

Eutalita Bezerra*

Nos últimos anos, o agravamento da crise climática tem ampliado o volume de iniciativas institucionais voltadas à mitigação de impactos ambientais e à adaptação das sociedades ao aquecimento global. Porém, parte dessas ações, mesmo quando envolvendo organismos internacionais, coalizões da sociedade civil ou decisões com impacto direto sobre políticas públicas, passam quase despercebidas no noticiário tradicional.

No início deste mês, duas iniciativas relevantes circularam principalmente em meios de comunicação alinhados à pauta ambiental. No dia 4, organizações que compõem o Observatório do Clima divulgaram a Agenda Legislativa 2026, documento que analisa proposições em tramitação no Congresso Nacional e no Senado Federal que desafiam ou colocam em risco o meio ambiente.

Dois dias depois, em 6 de março, a Organização das Nações Unidas anunciou o início do processo de elaboração do Plano Nacional de Ação pelo Resfriamento (PNAR), iniciativa que pretende orientar a estratégia brasileira para lidar com o aumento de episódios de calor extremo, fenômeno cada vez mais frequente em um planeta em aquecimento. Ambas as iniciativas reúnem elementos clássicos de noticiabilidade. Envolvem instituições de peso, têm impacto potencial sobre políticas públicas e dialogam diretamente com um dos temas mais urgentes da atualidade, a crise climática. Ainda assim, ganharam pouca ou nenhuma visibilidade midiática.

Um levantamento exploratório realizado para este artigo em mecanismos de busca e nos principais portais de notícias do país indica cobertura pontual ou inexistente sobre os temas nos dias seguintes às divulgações.A busca por “Agenda Legislativa 2026” nas dez primeiras páginas da aba de notícias do Google, por exemplo, aponta que o assunto circulou especialmente em veículos especializados e fora do circuito dominante da grande imprensa. É o caso do Site O Eco, o Nexo , o Ciclo Vivo, o Clima Info e a Agência Brasil

Mesmo nesses casos, os textos publicados são muito semelhantes entre si e provavelmente versões reescritas de releases, sem aprofundamento jornalístico.  O Brasil de Fato foi um dos poucos veículos que avançou além do material institucional e ouviu um especialista para comentar o documento. Já o anúncio do processo de construção do PNAR foi ainda mais invisível e apareceu basicamente nos perfis institucionais da própria ONU.

Foto: RS via Fotos Públicas

Esse descompasso entre relevância pública e visibilidade jornalística não é novo. Seguidamente discutimos, neste observatório, que a cobertura ambiental costuma ganhar destaque sobretudo em momentos de desastre, como queimadas, enchentes ou deslizamentos. O que se observa agora é algo ainda mais preocupante: a dificuldade de dar espaço, inclusive em veículos especializados, a processos estruturais de formulação de políticas públicas.

Ainda à luz dos critérios de noticiabilidade, sabemos que iniciativas institucionais de planejamento, mesmo quando estratégicas, frequentemente carecem de elementos dramáticos, o que reduz sua competitividade no fluxo informativo das redações. Quando se trata da crise climática, porém, essa lógica produz um efeito paradoxal.

Quanto mais estruturais e preventivas são as iniciativas, menor tende a ser sua visibilidade pública. O resultado é um noticiário ambiental dominado por eventos extremos, enquanto processos decisivos de formulação de políticas climáticas, capazes de evitar que muitas dessas tragédias aconteçam, permanecem fora do radar da cobertura cotidiana.

A ausência de cobertura consistente sobre iniciativas como a Agenda Legislativa do Observatório do Clima ou o Plano Nacional de Ação pelo Resfriamento não representa apenas uma lacuna editorial. Representa uma falha na mediação pública de um debate que definirá as condições de vida nas próximas décadas. Se o jornalismo pretende continuar sendo um espaço central de construção da esfera pública, precisa reconhecer que a crise climática não é uma pauta eventual. É o contexto que atravessa todas as outras. Ignorá-la não é apenas um erro de agenda. É, cada vez mais, uma forma de desinformação.

*Eutalita Bezerra é jornalista, doutora em Comunicação e Informação e integrante do Grupo de Pesquisa Jornalismo Ambiental (CNPq/UFRGS).

Guerra e clima não coabitam manchetes

Número de mortes e aspectos técnicos dominam enfoques da cobertura jornalística sobre guerras e desastres naturais, enquanto contexto climático fica fora do radar

Fonte: RS/Fotos Públicas

Heverton Lacerda*

Quem acompanha, com olhar atento, as publicações da imprensa brasileira a respeito da tragédia em Ubá (MG) e sobre as guerras patrocinadas por superpotências militares pode identificar, com facilidade, a falta de correlacionamento das pautas com as mudanças climáticas. As abordagens são muito similares: notícias factuais sem contextualização ampla, mantendo os fatos principais isolados.

É como se os enormes impactos ao meio ambiente não contribuíssem para ampliar a tragédia comum que afeta a vida em todo o planeta. As matérias não dão conta de identificar – sequer em notas de rodapé – que as destruições causadas pelas guerras e pelas próprias catástrofes climáticas ampliam o problema ambiental. Quanto mais agressões o corpo planetário sofre, mais diminui sua resiliência natural. Consecutivamente, a Terra perde capacidade de absorção de impactos e regeneração. 

Além de ceifar vidas e destruir territórios, infraestruturas e habitats naturais, guerras e tragédias climáticas ampliam emissões de gases de efeito estufa e os riscos sobre estruturas artificiais críticas. Um exemplo são as tecnologias que envolvem radiações ionizantes, muito utilizadas nas áreas de energia, indústria, médica, farmacêutica e agricultura, entre outras. Além do potencial de causar mortes por intoxicação, ferimentos ou traumas, os acidentes radiológicos comprometem a saúde mental e podem contaminar o solo, a água e o ar. O acidente radiológico de Goiânia, considerado o maior do mundo fora de usina nuclear, aconteceu em 1987. Até hoje, o Brasil abriga mais de três mil instalações radioativas em seu território, conforme o Ministério da Saúde.

Um alerta nesse sentido, ainda que sem mencionar a relação direta com o contexto climático, aparece no portal Opera Mundi, entre outros, quando noticia que a Rússia adverte risco de ‘catástrofe radiológica’ em guerra de EUA e Israel contra Irã.

As guerras e as catástrofes climáticas guardam relações e apresentam distinções. Ambas são reflexos de ações humanas, de decisões tomadas por grupos de poder político e econômico.  As guerras modernas geram toneladas de escombros e emitem gases poluentes em proporções muito maiores do que as atividades do dia a dia. São foguetes, mísseis, drones, veículos blindados – terrestres, marítimos, aéreos -, tecnologias de comunicação de última geração e muito mais. Tudo isso consome muita água e energia, desde a mineração dos materiais utilizados na construção dos equipamentos até as emissões de poluentes de origem fóssil e eletromagnética durante as operações. O volume de recursos financeiros gastos na indústria da guerra seria suficiente para abastecer os fundos climáticos mundiais e apoiar comunidades em risco em todas as partes do mundo. O Rio Grande do Sul, por exemplo, atingido pelas enchentes em 2024, até hoje não conseguiu reconstruir seu território e prepará-lo para o futuro incerto e preocupante que a ciência projeta, diante dos dados disponíveis.

Diferente das guerras, os eventos climáticos extremos já resultam, em grande parte, do acúmulo de atividades degradantes praticadas pela humanidade ao longo dos últimos dois séculos e meio. As catástrofes mais intensas que estamos testemunhando nos anos recentes são consequências do nosso passado. Já os resultados das destruições podem ser considerados agentes de enfraquecimento da resiliência natural dos territórios, exigindo ações preventivas mais eficazes e urgentes. Neste sentido, no entanto, tanto as guerras quanto as catástrofes ambientais intensificam ainda mais a crise climática. 

Talvez o jornalismo, de modo geral, não tenha condições, na correria diária, de ampliar a contextualização ao nível do detalhe, o que poderia comprometer um pouco a objetividade e a facilidade de compreensão das pautas. No entanto, a criatividade e os atuais recursos de design multimídia podem ser aliados estratégicos de apoio à intenção de contextualizar. Intenção é o ponto chave. Guerra e clima podem e devem coabitar não só manchetes, mas as melhores matérias jornalísticas. 

Cabe lembrar que, além da contextualização, o princípio da precaução é outro pressuposto teórico do Jornalismo Ambiental. Ele pode ajudar os colegas jornalistas a compreenderem, identificarem e explicarem os efeitos colaterais – neste caso, os reflexos na crise do clima – dos fatos em destaque na pauta. O compromisso com a fidelidade dos fatos e o alerta para as possíveis causas e consequências, diretas e indiretas, são elementos-chave para manter a pauta climática na transversalidade da boa cobertura jornalística. A visão sistêmica e o olhar para além das cortinas de fumaça demonstram a sagacidade do jornalista, fundamental para a cobertura de pautas complexas.

Revisão: Gabriella Barros, integrante do GPJA

*Heverton Lacerda é jornalista, especialista em Ciências Humanas, mestre em Comunicação, membro do Grupo de Pesquisa Jornalismo Ambiental (GPJA)  e presidente da Associação Gaúcha de Proteção ao Ambiente Natural (Agapan).

Petróleo e mudanças climáticas: como a imprensa noticia a investida americana na Venezuela

Cobertura jornalística trata pouco do debate ambiental quando o assunto é a exploração do combustível fóssil no Mar do Caribe

Imagem: Freepik

Nico Costamilan* e Eloisa Beling Loose**

A cobertura sobre o novo domínio do petróleo venezuelano pelos Estados Unidos desde o ataque à Caracas no início de janeiro foi intensa. Apenas no portal G1, mais de 80 matérias jornalísticas foram veiculadas mencionando “venezuela/estados unidos” e “petróleo” em janeiro. Nenhuma delas mencionou o impacto do recurso no meio ambiente, e poucos outros veículos indicaram o quanto isso irá turbinar a crise do clima.  Já em outro formato, o Grupo Globo deu atenção ao enfoque: no podcast O Assunto, do G1. Nele, Natuza Nery comenta as contradições da busca pelo petróleo em tempos de aquecimento global desenfreado, e traz uma análise histórica dos interesses americanos na Venezuela. Mas, esse não seria um enquadramento possível também nas notícias do portal?

Em sua coluna na Folha de São Paulo, Marcelo Leite trouxe os cálculos de carbono das metas climáticas fixadas pelo Acordo de Paris e o trabalho contrário que o time de Donald Trump procura fazer. Também na Folha, e originalmente no New York Times, destaca-se que o petróleo da Venezuela polui mais, emite quantias altíssimas de metano e gera derramamentos. Na CNN, uma reportagem indica que os planos de extração de mais petróleo no país acendem alerta climático, e que o petróleo venezuelano: bruto, pesado e ácido, está entre os mais poluentes do mundo. Novamente no Grupo Globo, a plataforma Um Só Planeta traz a situação sob a perspectiva da transição energética defendida nas cúpulas do clima e a Deutsche Welle analisa como isso pode refletir na política energética brasileira

Ressalta-se que, nas editorias de Mundo/Internacional e Economia, ainda é escassa a perspectiva ambiental nas coberturas associadas aos combustíveis fósseis, mesmo nas matérias relacionadas ao ataque e controle da infraestrutura petroleira venezuelana. Não o fazer é deixar de atender o interesse público da sociedade passando por cima do direito constitucional de ter um futuro com qualidade de vida em um planeta equilibrado. Manter o tema atrelado apenas à perspectiva econômica ou geopolítica, invisibiliza as raízes da crise climática e de todas as demais crises oriundas de um modelo de desenvolvimento baseado na depleção das riquezas naturais, simplificadamente nomeadas como recursos. 

Imagem: Pexels

Contextualizando os fatos 

Em três de janeiro de 2026, os Estados Unidos realizaram um ataque armado de grandes proporções à Venezuela. Para justificá-lo, o presidente do país, Donald Trump, alegou combater o narcotráfico, o regime de Nicolás Maduro e ameaças à segurança nacional. Após a captura/sequestro de Maduro, Trump declarou que sua gestão tomaria controle da infraestrutura petroleira do país, que a recuperaria, e que empresas americanas voltariam à operá-la e comandá-la. 

O discurso colonialista dos Estados Unidos não deixou muitas pessoas surpresas – a sua história em relação à economia de outros países mostra que a interferência do Tio Sam não têm limites. Sanções, guerras comerciais e ataques armados são algumas das demonstrações de poder feitas pelos estadunidenses na lógica nacional de acumular capital e modelar a geopolítica global aos seus interesses.

E é por isso que o assunto principal rapidamente tornou-se o petróleo (e aqui já não se falou muito mais em narcoterrorismo ou em salvar a democracia venezuelana). O petróleo é a atual base energética do mundo – há mais de um século, garante segurança econômica para quem o exporta e sustenta o comércio mundial.  E a Venezuela tem a maior reserva de petróleo do mundo com cerca de 303 bilhões de barris, segundo a Organização de Países Exportadores de Petróleo (Opep). 

Agora, o que acontece quando líderes globais são negacionistas climáticos, sustentados por investidores coniventes e apoiadores que acreditam no mesmo? O impacto pesado e destruidor da energia fóssil é reservado apenas às notas de rodapé das decisões políticas dos EUA, mas impactam a todos.  

A mudança da matriz energética significa uma mudança completa na estrutura da geopolítica global. Para os Estados Unidos, apoiar a transição energética é colocar em risco seu poder sobre outros países com sua reserva petrolífera, e dar o braço a torcer para os que estão à frente pela transição energética. O domínio dos combustíveis fósseis significa poder comercial, que é uma das principais ‘moedas’ políticas do país. Como vimos em 2025, no caso das taxas ao Brasil, China e outros países, por exemplo, o governo Trump pode provocar guerras comerciais por objetivos arbitrários a qualquer momento. 

Diante de um país influente, com um líder que não poderia se importar menos com os impactos da emergência climática, o mundo se articula de novas formas – acordos, alianças e possíveis lideranças se apresentam como competidoras ao domínio estadunidense. Inclusive, se fala da necessidade do fortalecimento do multilateralismo climático

Com mudanças na “geopolítica da energia”, os Estados Unidos terão, de um jeito ou de outro, de se encaixar no que é o futuro – a energia limpa. Ainda é incerta a rapidez dessa mudança, mas o fato é que no tempo presente, os Estados Unidos sinalizam para seguir explorando a  ultrapassada energia fóssil e insistir no negacionismo criminoso, com o objetivo de explorar até o último recurso fóssil da terra, e principalmente das terras dos outros. 

*Eloisa Loose é professora do Departamento de Comunicação da Universidade Federal do Rio Grande do Sul (UFRGS). Integrante do Grupo de Pesquisa em Jornalismo Ambiental (CNPq/UFRGS) e coordenadora do Laboratório de Comunicação Climática (CNPq/UFRGS). E-mail: eloisa.loose@ufrgs.br.

** Nico Costamilan é estudante de graduação em Jornalismo na UFRGS,  bolsista de extensão do Grupo de Pesquisa em Jornalismo Ambiental (CNPq/UFRGS) e pesquisadora voluntária do Laboratório de Comunicação Climática (CNPq/UFRGS). Email: nicocostamilan@gmail.com

Referências

CARLINDO, Sabrina. PEIXINHO, Dimas Moraes. A geopolítica da energia e a consolidação do petróleo como instrumento de poder. Revista Sapiência, v. 14, n. 1, 2025. Disponível em: https://www.revista.ueg.br/index.php/sapiencia/article/view/16027

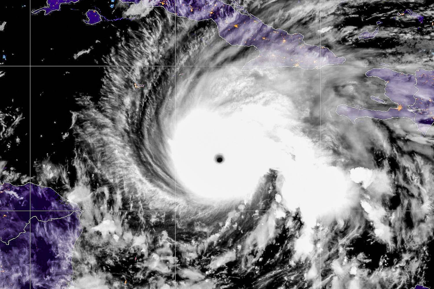
A tempestade do século e o aquecimento global

Foto: NOAA

Por Patrícia Kolling*

Nesta semana, o furacão Melissa, com ventos de até 298 km/h, atingiu a Jamaica, República Dominicana, o Haiti e Cuba. No dia 28 de outubro, quando o furacão estava chegando na Jamaica e nos dias que antecederam, a imprensa brasileira deu espaços significativos ao fenômeno, trazendo informações técnicas para que o leitor compreendesse o furacão, com dados sobre a escala e velocidade dos ventos.

Na Uol, o leitor encontrava alternativas para acompanhar o fenômeno em tempo real. Muitas notícias destacavam o fato do furacão atingir a escala 5, o nível máximo de intensidade, e na Jamaica, ter sido o mais forte a atingir o solo na costa do Atlântico em 90 anos.

Os dados eram assustadores, e os textos jornalísticos faziam questão de ressaltar isso. A previsão era de que o furacão atravessasse a Jamaica de ponta a ponta e a Cruz Vermelha Internacional alertava para um “impacto massivo”. Cerca de 1,5 milhão de pessoas – metade da população da ilha – deveria ser afetada direta ou indiretamente. Tanto que, em uma das matérias, um morador da Jamaica entrevistado dizia não acreditar que iria sobreviver, portanto não sairia de sua casa. As previsões se confirmaram, e a tempestade, considerada a maior do mundo, causou muita destruição e mortes.

A Folha de São Paulo trouxe informações técnicas sobre velocidades dos ventos, áreas que seriam atingidas e as ações da Defesa Civil para tirar as pessoas da região e protegê-las. A Folha também reproduziu um texto do Washington Post, ‘Caçadores de Furacões’ sobrevoam olho do Melissa no Caribe; um relato de um meteorologista que junto com outras 18 pessoas voou sobre o olho do furacão, e narrou a perfeição meteorológica do fenômeno.

Acredito que os meios jornalísticos precisavam, sim, apresentar os dados concretos da gravidade do fenômeno, porém, senti que foram além disso, ao fazer do fato um espetáculo sem precedentes, beirando ao sensacionalismo.
Mas, foi na National Geographic Brasil, que encontramos a relação entre o aquecimento global e o aumento dos furacões de categoria 5. “O furacão Melissa se intensificou rapidamente ao se arrastar sobre águas oceânicas excepcionalmente quentes, cerca de 1,4 °C mais quentes que a média, algo até 700 vezes mais provável devido às mudanças climáticas causadas pelo homem”, informa a Climate Central (entidade independente de cientistas e jornalistas que pesquisa informações sobre mudanças climáticas e seus impactos).

(…) “Quanto mais quente estiver o oceano, mais combustível haverá para os furacões se intensificarem, desde que outras condições atmosféricas (como o cisalhamento do vento) também sejam favoráveis”, informa a NOAA.

Senti falta desta conexão entre o furacão e as mudanças climáticas na maioria dos textos que li. É mais que urgente que o jornalismo traga essas relações contextuais ao falar de fenômenos climáticos. É preciso dizer que a intensificação destes acontecimentos tem relação com as mudanças climáticas, entre elas o aquecimento, e que a responsabilidade está na emissão de combustíveis fósseis e de poluentes.

Coincidentemente, nesta semana a ONU apresentou o Relatório Síntese das Contribuições Nacionalmente Determinadas de 2025 (NDC Synthesis Report 2025), consolidando as metas climáticas apresentadas pelos países entre janeiro de 2024 e setembro de 2025. Os dados não são nada animadores, pois o relatório diz que, conforme as metas apresentadas pelos países signatários do Acordo de Paris, o corte de emissões de gases ficará em 17%, enquanto a Ciência diz que seria necessário cortar 60% das emissões de gases até 2035. Isso significa que se a metas apresentadas a ONU forem cumpridas, o mundo terá um aquecimento de 2,5º até 2100.

Além do site o((eco)), o portal InfoAmazonia também analisou o relatório , mas em outros sites de notícias não encontrei informações sobre esse relatório.

Portanto, a semana foi a oportunidade dos meios jornalísticos conectarem os dados pessimistas do relatório e os fenômenos extremos que estão acontecendo no Planeta. Conexões que não encontrei nos veículos que pesquisei.

*Patrícia Kolling, doutora em Comunicação pela UFRGS, docente no curso de Jornalismo da Universidade Federal de Mato Grosso, Campus do Araguaia, integrante do Grupo de Pesquisa Jornalismo Ambiental (CNPq/UFRGS). E-mail: patikolling@gmail.com

Mudanças climáticas no topo do mundo

Foto: Wikicommons

Por Ângela Camana*

Na semana em que o mistério envolvendo o assassinato de Odete Roitman, no remake da novela Vale Tudo, fez parar o Brasil, outra cena angustiante tem emergido nos noticiários: são centenas de montanhistas que, desde o final de semana, estão à espera de resgate no Monte Everest. A ocorrência de fortes tempestades de neve deixou sitiadas cerca de 200 pessoas, que estão acampadas a quase 5 mil metros de altitude; outras 350 já foram resgatadas. Uma morte devido à exposição ao frio foi registrada. O jornalismo internacional tem repercutido sobreviventes que relatam jamais terem vivenciado um episódio climático desta magnitude, corroborados por guias da região que dizem que neste ano “o clima não está normal”. Pesquisadores argumentam que as mudanças climáticas estão tornando mais intensas as monções, o que torna imprevisíveis e irregulares fenômenos como rajadas de chuva.

Este episódio não é o primeiro do tipo registrado no pico mais alto do mundo. Em 2023, um dos anos com maior registros de acidentes fatais envolvendo montanhistas, a Reuters repercutiu a alegação de especialistas que as mudanças do clima eram responsáveis por pelo menos 17 mortes no Everest. No Brasil, canais como o podcast O Assunto e o The Conversation destacaram como as transformações ambientais e o turismo de massa têm impactado as geleiras, que sofreram redução de mais de 25% quando comparadas a 1970.

Não é novidade para aqueles que se dedicam ao tema das mudanças do clima e sua intersecção com a comunicação que o risco e a incerteza são objetos de difícil abordagem, haja vista que escapam aos critérios de noticiabilidade predominantes no jornalismo. Igualmente já se sabe e se argumenta que as mudanças climáticas nos colocam diante de um imponderável que ultrapassa editorias. O recente episódio no ponto mais alto do mundo é exemplar destas duas considerações.

Ao jornalismo em geral tem bastado republicar notícias de agências internacionais sobre os esforços de salvamento, acompanhadas de vídeos desoladores. Quando muito, os portais apresentam duas frases de especialistas não nominados sobre as alterações nos regimes de chuva. Não há esforço de contextualização, tampouco de qualificação das informações recebidas. Uma lástima, já que o drama humanitário e ambiental vivido no Everest escancara que as mudanças do clima impedem a manutenção da vida como a conhecemos. O esporte e o turismo não escapam às alterações, e as imagens das centenas de sitiados no topo do mundo não nos deixam negar. O que está sendo reportado, contudo, não faz jus ao momento vivido: ao não nos permitir ver para além dos frames do espetáculo trágico dos montanhistas, o jornalismo também nos nega o conhecimento de riscos climáticos, sociais e éticos muito mais amplos.

*Jornalista e socióloga. Pesquisadora em pós-doutorado no PPG Agriculturas Amazônicas na UFPA. Colaboradora no Grupo de Pesquisa Jornalismo Ambiental. E-mail: angela.camana@hotmail.com

As exclamações e os silêncios de Lula na ONU

Por Luciano Velleda*

O esperado discurso do presidente Luiz Inácio Lula da Silva na abertura da Assembleia Geral da ONU, na última terça-feira (23), teve pouco mais de 18 minutos, tempo que se mostrou suficiente para o mandatário brasileiro dar recado sobre alguns dos assuntos mais urgentes na conjuntura política mundial.

Lula defendeu a democracia e o multilateralismo, criticou o uso de tarifas comerciais como instrumento de pressão política e econômica, definiu como genocídio o massacre em Gaza perpetrado por Israel, abordou a guerra entre Ucrânia e Rússia, e ainda defendeu a Justiça brasileira e a legalidade do julgamento que condenou a 27 anos de prisão o ex-presidente Jair Bolsonaro.

Entre tantos temas quentes da geopolítica atual, menos de três minutos do discurso foram dedicados à crise climática. E foram, ao fim, três minutos que ocuparam as manchetes de alguns veículos de imprensa do Brasil, escolhidos para essa análise por sua posição de destaque e tradição no jornalismo brasileiro. Em comum entre eles, o destaque de que a COP 30, em Belém, será a “COP da verdade”, a COP para os líderes mundiais mostrarem seu compromisso com o planeta.

O G1, por exemplo, intitulou: “Na ONU, Lula chama conferência do clima no Brasil de ‘COP da verdade’ e reforça importância de presença de líderes mundiais”. A Folha S.Paulo disse: “União Europeia atrasa meta climática, e Lula cobra países em discurso na ONU”. O jornal Valor decidiu pela manchete: “COP30 será momento para líderes provarem compromisso com o planeta, diz Lula na ONU”, quase igual muito ao destaque da Band Jornalismo: “COP 30 será momento de líderes provarem compromisso com o planeta, diz Lula”.

O Correio Brasiliense optou pela manchete: “Lula cobra ação climática e defende reforma global em discurso na ONU”, enquanto a Exame escolheu uma frase emblemática do discurso do presidente brasileiro: “Lula na Assembleia da ONU: ‘Bombas e armas nucleares não vão nos proteger da crise climática’”.

Ao longo dos textos, os veículos repercutiram os três minutos ambientalistas do discurso na ONU, como a ênfase de que 2024 foi o ano mais quente já registrado, a redução do desmatamento ilegal na Amazônia brasileira, o anúncio do lançamento do Fundo Florestas Tropicais para Sempre, que pretende remunerar os países que mantêm suas florestas em pé, assim como a forte crítica feita aos países que ainda não apresentaram suas novas metas de redução de emissões de gases causadores do aquecimento global, as chamadas Contribuições Nacionalmente Determinadas (as NDCs).

“Sem ter o quadro completo das Contribuições Nacionalmente Determinadas [as NDCs], caminharemos de olhos vendados para o abismo”, declarou Lula, uma das frases de efeito destacadas pela imprensa. Os desafios enfrentados pelas nações em desenvolvimento devido a mudança do clima enquanto os países ricos “usufruem de padrão de vida obtido às custas de 200 anos de emissões” foi outra frase do presidente que repercutiu.

Um olhar mais crítico ao discurso veio de dois veículos jornalísticos especializados em meio ambiente, ambos dando voz a análise feita pelo Observatório do Clima, entidade que reúne 162 integrantes, entre organizações socioambientais, institutos de pesquisa e movimentos sociais.

O site(o) eco trouxe para sua manchete uma contradição de Lula ao dizer: “Fim dos combustíveis fósseis fica de fora do discurso de Lula na ONU”. O veículo ressaltou que,  para organizações brasileiras, “o pronunciamento foi correto, mas nada mais do que isso”.

Repercutindo a nota oficial do Observatório do Clima, (o) eco ponderou que a “fala de Lula foi apenas ‘correta’, mas previsível, já que o líder brasileiro tinha na pauta muitas outras questões, como a defesa da soberania nacional e o tarifaço americano, regulação das plataformas digitais, conflitos armados e crise no multilateralismo”.

O veículo ainda destacou o trecho final da nota do Observatório do Clima, a qual diz: “Quem estava esperando um discurso do grande líder climático do Sul Global que arrancou aplausos do mundo em 2022 na COP 27, no Egito, pode ter se frustrado: a fala de Lula não foi a de um anfitrião de uma conferência do clima decisiva para garantir um futuro seguro para a humanidade”.

O mesmo trecho também foi enfatizado pelo site climainfo, entretanto, reproduzindo o parágrafo completo da nota do Observatório do Clima, que finaliza assim: “Porém, o mundo e o Brasil de 2025 tampouco são os de novembro de 2022. A COP30 precisará triunfar num ambiente político e geopolítico muito desfavorável, e esse climão fica evidente em tudo que Lula disse e principalmente no que não disse”.

Segundo a análise proposta pelo Observatório do Clima, a COP30, em Belém, poderá ficar marcada mais pelo silêncio ensurdecedor da omissão diante da crise climática, do que pelas afirmações de quem tem a obrigação de agir. Enquanto isso, os eventos extremos da natureza ocorrem no mundo todo cada vez mais frequentes, cada vez mais intensos.

*Luciano M. Velleda é jornalista, sócio do Sul21 e integrante do Grupo de Pesquisa Jornalismo Ambiental.

“Liberar desinformação pode ter consequências diretas na segurança das pessoas”, afirma especialista

Roda Viva/Reprodução

Por Valéria Baptista*

Jaqueline Sordi é bióloga e jornalista especializada em pautas ambientais. Doutora e mestre em Comunicação pela Universidade Federal do Rio Grande do Sul (UFRGS) e também Especialista em Sustentabilidade pela Universidade da Califórnia (UCLA). Publica em veículos nacionais e internacionais como Sumaúma, Agência Lupa, Folha de S. Paulo, Zero Hora, Mongabay e Skeptical Science.

Em 2020, recebeu financiamento do Google News Initiative para desenvolver o projeto Lupa na Ciência, focado no combate à desinformação sobre a covid-19. O projeto se tornou referência no país durante a pandemia. Em 2021, foi um dos cinco profissionais de comunicação indicados para o Prêmio Comunique-se na categoria Sustentabilidade, considerado o “Oscar” do jornalismo no Brasil. Em 2023, foi uma das três brasileiras vencedoras do programa Disarming Disinformation, do International Center For Journalists (ICFJ), focado no combate à desinformação científica e ambiental.

Em 2024, teve uma de suas reportagens publicadas em Sumaúma premiada pelo Digital Media Americas Awards. Atualmente é gerente de engajamento do Greenpeace no projeto COP-30.

Nesta entrevista, concedida no âmbito da disciplina Jornalismo e Meio Ambiente da Faculdade de Biblioteconomia e Comunicação (Fabico) da UFRGS, Sordi destaca as implicações da desinformação climática e maneiras de combatê-la.

Valéria Baptista (VB) – Segundo pesquisa do DataFolha divulgada em 1º/05/2025, a parcela de brasileiros que nega os riscos das mudanças climáticas aumentou nos últimos meses. A pesquisa informa que o índice passou de 5% em junho de 2024 para 9% em abril de 2025. O número já havia subido para 7% em outubro de 2024, sinalizando uma tendência de alta entre os que minimizam as ameaças do aquecimento global. Os dados mostram, contudo, que a maioria da população ainda considera as mudanças climáticas um risco real:  53% dos entrevistados afirmam que o perigo é imediato, outros 35% dizem que os impactos afetarão as próximas gerações, somando 88% de percepção de risco – patamar inferior aos 94% registrados em junho e aos 92% de outubro do ano passado. Sobre a percepção pública da crise climática, pode-se dizer que as pessoas estão abertas para a informação climática e dispostas a cooperar no enfrentamento da crise?

Jaqueline Sordi (JS) – Eu entendo que sim, porque – nos últimos anos – as pessoas estão sofrendo tão diretamente as consequências da crise climática que acabam se tornando mais abertas para receber informações e para internalizar que a crise climática realmente existe. Elas estão cada vez mais abertas para as informações sobre o assunto, principalmente porque isso afeta diretamente a vida delas; no entanto, por se tratar de um tema tão difícil e complexo, tão cheio de dúvidas e de medos, também abre um caminho muito fértil para a desinformação climática. Uma das estratégias da desinformação é exatamente trazer soluções fáceis e respostas absolutas para questões complexas como a crise climática. Em um momento em que as pessoas estão mobilizadas, em que a emoção fala mais alto que a razão, elas acabam buscando essas estratégias como uma forma de conforto. E ao mesmo tempo que as pessoas estão no momento atual mais abertas à informação, estão também mais suscetíveis à desinformação.

VB – A desinformação climática vai na contramão da educação ambiental provocando um desserviço à causa ambiental, já que consegue muitas vezes ter um efeito danoso junto à opinião pública. Qual o papel da educação ambiental no combate à desinformação climática?

JS – A educação ambiental tem um papel fundamental. A gente precisa ter uma base conceitual sobre meio ambiente, sobre a natureza e sobre a nossa relação com a natureza muito bem estabelecida e internalizada para não ficar vulnerável aos discursos falsos, aos discursos de negação. E essa base só é possível pela educação primária, ou seja, desde a infância. A gente vê nas gerações que cresceram distantes da natureza e cada vez mais nas que estão crescendo as consequências disso, que é exatamente essa vulnerabilidade de acreditar nessas narrativas. E isso é muito pela deficiência dessa conexão com a natureza, não só com a ciência da natureza, mas também com a conexão física da natureza. De entender que fazemos parte de algo maior. As nossas gerações cresceram muito com a ideia de humanos de um lado e natureza do outro como sendo coisas diferentes e separadas. E essa ideia já não se sustenta mais, porque já sabemos que o mundo não funciona dessa forma. Essa deficiência nesta percepção acaba nos deixando vulneráveis. Eu entendo que a educação ambiental trabalhada na forma de reaproximar desde a infância e acabar com a construção da ideia de homem e natureza como algo separado é fundamental para não nos deixar mais vulneráveis a essas narrativas.

VB – Uma pesquisa da Broadminded realizada ao longo do mês de janeiro de 2025 entrevistou pessoas de seis países da América Latina sobre a Meta e o uso de suas redes sociais. Um dos tópicos foi a mudança na política de moderação de conteúdo e o fim do programa de checagem da empresa. Nesta pesquisa, 77% dos brasileiros discordam que disseminar notícias falsas seja “direito democrático”. Os brasileiros foram os que mais rejeitaram a mudança, com 41% discordando dela por acreditarem que a medida pode favorecer a disseminação de notícias falsas e discurso de ódio. Outros 34% disseram concordar por se tratar de liberdade de expressão. Os que concordam que remover iniciativas de checagem de fatos das plataformas de social media representa uma ameaça direta à democracia somam 54%. Diante disso, quais são as consequências da desinformação para a sociedade em geral?

JS –Asconsequências da desinformação são extremamente danosas. Liberar discursos de ódio sob o argumento da liberdade de expressão pode ter consequências diretas na segurança das pessoas. E liberar desinformação também. Eu entendo que, sobre essas medidas, é preciso ter um debate mais aprofundado sobre a moderação das redes, porque estamos entrando em um universo completamente novo. Antigamente a informação era passada de um para muitos, de poucos para muitos, e esses poucos trabalhavam com uma base de um processo de curadoria, de checagem de informação. Mas hoje em dia isso não existe mais. Só que essa nova realidade nos foi imposta sem que houvesse uma reflexão sobre ela. E hoje estamos vendo as consequências disso. Então, o ideal seria: parar tudo, dar um passo atrás e ver que potencial dano pode causar e, dessa forma, minimizar. Eu defendo a ideia de lugares de checagem, de restrição de publicações desde que não sejam vinculados a um viés político, mas sim científico.

VB – As redes sociais são um terreno fértil para a propagação de desinformação devido ao fácil acesso e ao grande número de pessoas conectadas. Como combater a desinformação climática neste contexto?

JS – Temos uma frente maior, que é a de combater a raiz do problema, que está dentro de grandes estratégias de desinformação oriundas de grandes empresas com interesses outros nessas narrativas, ou seja, interesses de manter o status quo. Um exemplo é a indústria do petróleo que, para manter o lucro, nega as consequências desse modelo de produção. Nós temos um trabalho maior que é o de mudar esse espectro mais complicado próprio da indústria. Mas também temos estratégias que cada um pode aplicar e exercer para evitar esse tipo de situação, entre as quais está em saber identificar uma notícia falsa, cuidar antes de circular, sempre desconfiar de informações que vêm com verdades absolutas, soluções mágicas ou certezas que contrariam o senso comum por mais atrativas que sejam. E também em situações de vulnerabilidade em que o emocional acaba falando mais alto que o racional, por exemplo, quando houve a enchente no RS. É aconselhável ter isso em mente para manter o racional sempre atento e não se deixar levar por essas narrativas que são muito atrativas nesses momentos.

VB – Devido às últimas chuvas intensas ocorridas no mês de junho no RS, alguns políticos levantaram a discussão de que a formação de bancos de areia no rio Guaíba agravaria as enchentes, sendo necessário fazer o desassoreamento do rio. No entanto, especialistas rebatem essa teoria dizendo que os bancos de areia são um tipo de formação geológica que ocorre devido a um processo natural de sedimentação e que a dragagem do rio Guaíba seria desnecessária. O que separa a desinformação climática de um ponto de vista distinto sobre uma questão como essa, por exemplo?

JS – Temos que pensar que a questão traz um ponto de vista político e um ponto de vista científico. A política não tem o papel de assumir o lugar da ciência. Os políticos têm que ouvir a ciência e, a partir do que a ciência diz, tomar as decisões. É claro que a ciência quase nunca traz certezas absolutas, pois ela é feita de consensos, é feita de maiorias que levam para um mesmo caminho. Então, o papel político é sempre ouvir e tentar entender quais são os consensos e como agir a partir daí. Discordâncias sempre vão haver. Para que as melhores iniciativas sejam tomadas, as iniciativas mais corretas ou menos danosas, temos que entender que a ciência não é feita de certezas absolutas, lembrando que em diversos casos dentro da própria ciência vamos ouvir opiniões divergentes. Em propostas do âmbito político as tomadas de decisões têm mais chances de acerto quando há espaço para discussão científica. Acredito que falta um pouco dessa capacidade que a gente perdeu de dialogar, de discutir, de entender diferentes pontos, de entender o que é ciência e o que não é, e quais são as limitações da própria ciência.

VB – Nesta questão fiquei pensando no público em geral que fica na dúvida sobre qual lado tem razão. Mas aí entra o papel da escola, não é mesmo?

JS – Talvez não precise abrir tanto essas divergências, mas sim mostrar o que é consenso ou quais são os caminhos possíveis. Isso precisa ficar claro que foi feito a partir de discussões científicas. Mas, é claro, entra o papel da escola, dos veículos de comunicação e da própria política.

VB – O homem se afastou da natureza especialmente a partir da Revolução Industrial e da intensificação da urbanização. O que o homem contemporâneo precisa mudar na sua relação com a natureza, em tempos de crise climática, de maneira que seja possível construir uma sociedade consciente, colaborativa e crítica com relação às questões ambientais?

JS –O homem precisa voltar a ouvir quem nunca se afastou da concepção de que homem e natureza são uma coisa só. Temos aí milhares de pessoas, povos indígenas, comunidades tradicionais que há milênios vivem em harmonia com a natureza. Não se afastaram desse conceito e, por isso, são exemplos de como viver sem destruir. O nosso modelo de sociedade já se mostrou insustentável, e a gente precisa aprender a escutar quem ainda vive num modelo de vida sustentável. E quem tem a resposta para essa pergunta são esses povos.

VB – Em uma de suas matérias, você cita as falsas dicotomias como uma das cinco estratégias usadas para manipular e confundir a opinião pública. Como exemplo disso, grupos de interesse econômico divulgam a falsa ideia de que desenvolvimento e preservação estão em lados opostos. Poderia falar sobre essa falsa dicotomia e apontar quais interesses estariam por trás desse tipo de desinformação climática?

JS – A gente tem a ideia de que o modelo de sociedade ocidental no qual vivemos representa desenvolvimento, mas, na verdade, ele representa um modelo de exploração insustentável com relação aos recursos que a gente tem. Na verdade, a gente nem deveria chamar de recursos. Eu usei esse termo para que fique mais fácil de entender. Não são recursos, e sim elementos naturais. A gente associa a ideia de desenvolvimento a esse nosso modelo, mas hoje em dia já se sabe que esse modelo não representa necessariamente desenvolvimento, porque é um modelo insustentável. As grandes indústrias que se sustentam  a partir desse modelo seguem alimentando essa narrativa para continuar lucrando e manter o status quo. E essa é a falsa dicotomia. A gente pode entender que desenvolvimento está muito mais ligado a estabelecer uma relação com o meio ambiente sem destruí-lo, que, no final das contas, é uma relação muito mais complexa, mais tecnológica e muito mais intensa e profunda do que esse modelo de chegar a um local, explorar, retirar recursos e ir embora. Essa falsa dicotomia está também relacionada muito com a apropriação da ideia de um desenvolvimento que não condiz mais com a realidade.

VB – A educação para a cidadania já se comprovou um processo lento na sociedade brasileira devido principalmente ao baixo investimento em políticas públicas por parte dos governos. Não dá para esperar que a sociedade atinja a maturidade nesse aspecto, ou seja, é preciso agir rápido com medidas de mitigação no que se refere à emissão de gases de efeito estufa, já que eventos extremos estão acontecendo com muita frequência. Como podemos ter esperança de que a sociedade capitalista vai se engajar na luta para salvar o planeta, a própria vida e a das gerações futuras?

JS – Acredito que temos que trabalhar com três frentes: uma a curto prazo, outra a médio e outra a longo prazo. A frente a curto prazo seria pensar em medidas que estão inseridas na lógica atual para tentar mitigar e adiar, porque a gente precisa reduzir as emissões. A gente não vai conseguir mudar esse sistema econômico nem tampouco reeducar o homem na sua relação com a natureza agora. Então temos essa dicotomia e precisamos trabalhar dentro da própria lógica para implementar ações de redução – seja por meio da própria tecnologia de captura de carbono, seja por investimento em energia renovável, seguindo o modelo de produção, só que dentro da energia renovável. E aí pensar a médio prazo em políticas públicas que ajudem nesse sentido, políticas tanto de educação como de redução de desmatamento, de taxação para poluentes entre outras; e medidas a longo prazo, sendo a principal delas a que está dentro dessa questão mais profunda da educação, a de educar pela escola, pelos sistemas de educação, retrabalhando a questão ambiental a partir de uma nova perspectiva que não separa o homem da natureza. O desafio tem que ser encarado nessas três frentes, senão fica impossível mesmo, já que não dá tempo de a gente mudar o modelo de sistema econômico atual para resolver a crise climática, porque quando a gente conseguir fazer isso o planeta já terá acabado.

*Revisora de Textos da UFRGS. Cursou a disciplina Jornalismo e Meio Ambiente em 2025/1, quando produziu essa  entrevista sob orientação da professora Eloisa Loose.

O eco de fatos ambientais diante do Princípio da Precaução

Por Heverton Lacerda*

O deserto de notícias sobre pautas ambientais nesta semana nos portais dos principais jornais do Brasil me chamou a atenção. A percepção foi ampliada a partir da ciência de que há pautas ambientais importantes a serem noticiadas e analisadas. Um exemplo é a decisão judicial que, por precaução, suspendeu as atividades de uma usina termelétrica e uma mina de carvão em Candiota (RS) por falta de atenção aos planos climáticos do Estado gaúcho e da União. A notícia ficou circunscrita, basicamente, ao âmbito de alguns portais gaúchos de notícias, os chamados alternativos, e na RBS TV de Bagé, emissora da rede RBS (afiliada à Globo) que cobre a região onde fica a mina, na cidade de Candiota. Trata-se de uma ação civil pública que cobra a responsabilidade da União, do Estado e de órgãos públicos, a exemplo do Ibama, para que as mudanças climáticas não fiquem ainda mais graves. A notícia da RBS TV, segundo conversa que tive com a repórter que fechou a pauta, apresentou as demandas da ação e entrevistou representantes dos réus. 

A partir dessa percepção, fui pesquisar no portal O Eco, um veículo de imprensa especializado em pautas sobre o meio ambiente, para me certificar dessa impressão sobre a falta de notícias. Não foi surpresa constatar a existência de uma série de matérias e reportagens importantes. 

É compreensível e de amplo conhecimento no campo do jornalismo, que, por diversos aspectos e circunstâncias, há a necessidade de priorizar pautas. No entanto, aponto aqui duas observações. A primeira é que pautas como Nem Taís Araujo nem o público estão felizes com a mudança dos rumos de Raquel em ‘Vale Tudo’, publicada pela Folha de São Paulo, e Grêmio anuncia a contratação de Arthur: “Eu bati o pé pra voltar. É minha casa! Minhas raízes!”, do portal GZH (Rádio Gaúcha e Zero Hora), encontram facilmente espaços nesses veículos hegemônicos, enquanto temas ambientais, a exemplo dos citados acima, ficam de fora. O jornalismo tem produzido cada vez mais entretenimento, que é uma produção “leve”, que gera audiência, no lugar de promover o debate de assuntos de interesse público.  

A segunda observação é que o Princípio da Precaução ainda não está devidamente assimilado pelo jornalismo geral, visto que, em boa parte, continua-se priorizando notícias de tragédias ambientais para ecoar o tema meio ambiente. Espera-se que o risco se torne desastre para, então, tratar das decisões equivocadas e que beneficiam apenas grupos econômicos, prejudicando a compreensão de que o meio ambiente está em tudo, inclusive em nós, o tempo todo.

Pressuposto teórico do jornalismo ambiental, o Princípio da Precaução é um conceito que orienta para a tomada de decisões em situações onde há incerteza científica sobre riscos de um dano, especialmente no contexto ambiental. Ele pode servir de base para decisões sobre pautar notícias ambientais que não sejam necessariamente tragédias. A ideia central é exatamente a intenção de tentar evitar que tragédias aconteçam. O jornalismo tem condições de fazer isso, e estará realizando um papel extraordinário, se atentar para esse princípio.

*Jornalista, especialista em Ciências Humanas: Sociologia, História e Filosofia, mestrando em Comunicação (PPGCOM/UFRGS), integrante do Grupo de Pesquisa Jornalismo Ambiental (UFRGS/CNPq) e presidente da Associação Gaúcha de Proteção ao Ambiente Natural (AGAPAN).
E-mail: heverton.lacerda@ufrgs.br

A água nas torneiras, o peixe que alimenta, o rio que é parente

Gustavo Lima/Arquivo Pessoal/Observatório de Jornalismo Ambiental

Por Patrícia Kolling*

Uma matéria publicada na Folha de S. Paulo relata que os níveis dos reservatórios de água em São Paulo estão abaixo dos registrados na crise hídrica de 2015. O texto traz dezenas de números para mostrar que o quadro é mais grave do que há 10 anos, quando a região viveu a maior crise hídrica de sua história. Os níveis dos mananciais estão caindo desde 2023 e a previsão é de que o mês de agosto será mais seco que o normal. O texto informa que “as chuvas só devem voltar com força suficiente para recuperar os reservatórios no fim de setembro, quando iniciar a primavera, a tendência é que o nível atual continue a baixar diariamente”.

Apesar das empresas responsáveis pelo abastecimento da região metropolitana de São Paulo dizerem não acreditar em uma nova crise hídrica, devido aos investimentos em infraestrutura de abastecimento, a situação exige preocupação, pois especialistas alertam que os últimos anos têm sido muito secos, e que entre as causas estão as mudanças climáticas e o desmatamento.

Quando se fala em desmatamento, é preciso dizer que ele acontece bem longe de São Paulo e apesar das áreas desmatadas na Amazônia terem diminuído, os números de desmatamento no Cerrado continuam a crescer. São as raízes profundas das plantas do Cerrado que abastecem os lençóis freáticos. É na região do Cerrado que estão oito das doze bacias hidrográficas do país. “Estudo do Instituto Cerrados, em parceria com o ISPN [Instituto Sociedade, População e Natureza], aponta que 88% de 81 bacias hidrográficas do bioma já tiveram redução de vazão causada pelo desmatamento entre 1985 e 2022.”

Enquanto em São Paulo a água pode faltar novamente nas torneiras e chuveiros, a série Exlcuídos do Clima, da Folha de S. Paulo mostra que para algumas populações o problema é ainda maior. A reportagem apresenta a situação do Quilombo Águas do Miranda, em Bonito (MS), localizado às margens do rio que dá nome à comunidade.  Para as famílias, a água do rio é fonte de renda, com a prática do turismo e da pesca artesanal. Com as secas constantes e as queimadas dos últimos anos, o nível das águas dos rios diminuiu e, consequentemente, a redução na quantidade de oxigênio na água levou à mortandade de peixes. Famílias que viviam da pesca e do turismo tiveram que buscar outras fontes de renda. “Aí você vai no rio para pegar um peixe para comer, você não pega, porque não tem. Quem sabe se virar, se vira de qualquer maneira”, reflete um morador da comunidade. Apesar das dificuldades, os moradores não desejam sair do quilombo, pois ali formam uma comunidade em que todos se ajudam.  Apesar do repórter manifestar uma preocupação com a perda dos costumes culturais da comunidade, ele não explora no texto aspectos relacionais e culturais da comunidade entre si e com o rio.

Mais ao norte do país, na Terra Indígena Xipaya, do Povo Indígena Xipai, passa o rio Iriri, que é o maior de Altarmira, sudoeste do Pará. “É como parte da família. O Rio sempre foi Rio, e Xipai sempre foi Xipai. São corpos diferentes entrelaçados como um só”, escreve Wajã Xipai, no portal Sumaúma. Para falar sobre o rio, a repórter indígena foi conversar com quem muito o conhece, os anciões da aldeia.  E, como ela diz, mergulhou nele até se afundar, ou seja, se aprofundou na temática “para que quem falasse fosse o próprio Iriri”.  Ela conta que o dia a dia dos Xipai gira em torno do rio. “As famílias saem para pescar nos pedrais em frente ao porto da aldeia ou mais distante dali. Às vezes, passam a tarde inteira na beira do Rio. As mães lavam roupa ou se banham. As crianças, que na maioria já sabem nadar, brincam na água […]. Os homens saem para a pesca, e as mulheres esperam que eles voltem para preparar os peixes para a refeição da família. À noite, as famílias se juntam numa roda e contam histórias do que viram e viveram no Rio ou na mata”. Dos indígenas, ela ouviu sobre a morte dos peixes, a cor esverdeada do rio, a falta de chuvas e que o rio não enche mais como antes. Com especialistas, ela foi entender por que isso acontece. No ano passado, a Agência Nacional de Águas e Saneamento Básico declarou situação crítica de escassez hídrica no Rio Xingu e no Rio Iriri, seu afluente.

Do sudeste ao norte do Brasil, esses três textos jornalísticos relatam, de formas diferentes, cenários da escassez de água no Brasil. Mostram, em números, em relatos e em histórias, como a falta de água impacta, de diferentes formas, a vida das pessoas, da fauna e da flora. São textos que estão em editorias e veículos diferentes, mas que se conectam não só pela temática da água, mas também pelo relato das pessoas. Sob a perspectiva do jornalismo ambiental, o ideal seria que esses três textos fossem base para um texto apenas, em que os leitores pudessem compreender as verdadeiras relações que existem entre água da torneira, as raízes do cerrado não desmatado, o peixe que é alimento, as crianças brincando no rio e a cosmovisão indígena que compreende o rio como parente. Porém, é preciso compreender que na maioria dos veículos de comunicação as práticas de produção não permitem a abrangência complexa das pautas, não oferecendo aos repórteres tempo e condições financeiras para a apuração. Mas, vale a reflexão, será que nós jornalistas já estamos preparados para de tirar as temáticas das caixinhas das editorias e conectá-las nas mais diferentes esferas da vida, como um rio se liga a seus afluentes e povos.  

*Patrícia Kolling, doutora em Comunicação pela UFRGS, docente no curso de Jornalismo da Universidade Federal de Mato Grosso, Campus do Araguaia, integrante do Grupo de Pesquisa Jornalismo Ambiental (CNPq/UFRGS). E-mail: patikolling@gmail.com